文:程志勇
老家大圩的門前是緩緩流淌的南淝河,每天都有大小船只吧嗒吧嗒地南來北往。以前,人們居住在圩堤上,屋后大大小小的水塘一個連著一個。這些水塘和田地一樣,都是有主的。每年春天,家家戶戶都會買來魚苗,放到水塘里去,平時也不會特意管理。人們在水塘里浣洗衣裳、淘米洗菜、刷鍋涮碟,方便生活的同時,也為塘里的魚兒提供了不竭的食物。

到了年關,就會有主事的鄉親,張羅打魚塘。兩三臺大馬力水泵大清早就被安插在水塘里,接上電源,“嗡嗡嗡”地開始往塘埂外抽水。抽干魚塘,是件需要耐心與細致的活兒,要在魚塘四周來回轉悠,不時巴拉巴拉枯枝和塘埂邊的蒿草,用鐵鍬清理吸附在水泵防護罩周圍的雜物。不多時,就有性急的魚兒歡快地蹦出水面,倏的一下,又鉆入水底。也有笨頭笨腦的,落在了水草上面,露著白花花的大肚皮,嘴巴一張一張的,在那直喘氣,讓聚在塘埂邊的孩子們一陣驚喜!
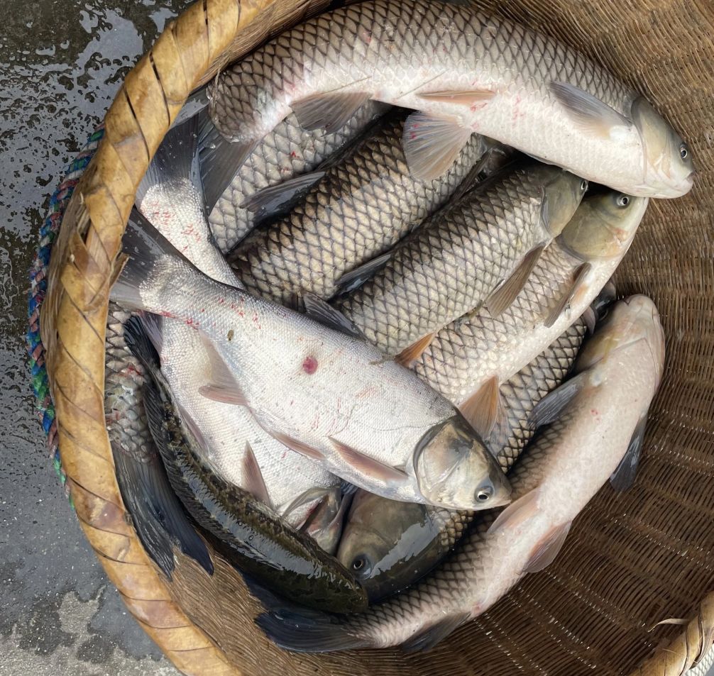
吃罷午飯,魚塘里的水差不多也快見底了。塘埂上站著的人們終于迎來了最令人興奮的時刻:大頭鰱、草魚、黑魚、金魚、汪丫、鳊魚……很大的,很小的,見過的,沒見過的,此時都聚集在近腰深的淺水里,搖頭擺尾,撒潑賣歡!這時,兩三個身強力壯的漢子穿上連身皮衣,拖上大魚盆,跳進魚塘,俯下身子,捉將起來。渾水摸魚,不僅要眼疾手快,還要在淤泥里騰挪閃移,往往逮住的大魚一個翻滾,激起滿臉的泥漿,再定睛看去,那魚兒卻又呲溜滑向了遠處,讓人哭笑不得,惹得岸上的人們一陣哄堂大笑!小孩子們也早已按捺不住,顧不得大人們的呵斥,不知什么時候在塘埂邊尋到了幾只張牙舞爪的小螃蟹、小龍蝦,快活地玩起了蝦兵蟹將的游戲。
臘月的天氣,寒風有些刺骨。熱鬧的捉魚場面大約持續半個小時,留下來的魚兒會重新回到放水的魚塘里——淳樸的人們深深懂得自然萬物生生不息的道理!捉上來的魚兒,一溜兒排在場地上,翕動著腮幫子,瞪著大眼睛,看著圍成一圈兒的大人小孩,無可奈何。管事的按種類和大小分成若干份,再按照大小搭配著分給等候的“股民”。一會兒,各家歡歡喜喜用編織袋,或是竹籃,把自家的魚兒裝送回家。每到這時侯,媽媽總會慷慨而又熟練地甩幾條給站在旁邊看熱鬧的熟識鄉親,然后挑著沉甸甸的兩大袋子魚一顛一顛地回家了,再計劃著過年吃幾條,其它的都收拾干凈,用鹽腌好,來年開春慢慢吃。這幾天的房前屋后,各家都在殺魚、腌魚、曬魚。這也正應了“年年有余”的愿景吧。
此后的一段時間,魚,便成了各家飯桌上的主打,巧婦們總能利用魚在灶臺前大顯身手:這家清蒸,那家紅燒,味道鮮美,唇齒留香。鮮魚火鍋,是媽媽的拿手絕活——“高端的食材,往往只需要最簡單的烹飪方式。”鮮魚火鍋很好做,也就是紅燒魚時多放點水,加入鍋煮豆腐,放在煤球爐上中小火慢慢熬煮,等魚湯變得奶白,把洗凈的香蒜、芫荽、粉絲、黃心烏放里面涮著吃,頓時,香味在小小的廚房里蔓延……一家人圍坐在爐子邊,熱熱乎乎地吃著魚,燙著菜,還可以用魚湯拌飯,最后再喝一碗鮮美的魚湯,真的是臉紅耳熱全身暖呀!
而今,南淝河依舊,河堤上的房子已被環巢湖大道取而代之,那記憶中的大大小小的魚塘也因濕地綠化景觀帶難覓蹤跡。但,如今每近年關,我的耳朵里還能聽到門前那機動船“吧吧嗒吧嗒”的聲音、屋后“嗡嗡嗡”水泵排水的聲音、鄉親們七嘴八舌分魚的嬉笑聲,還能聞到那鮮魚火鍋的鮮香……


